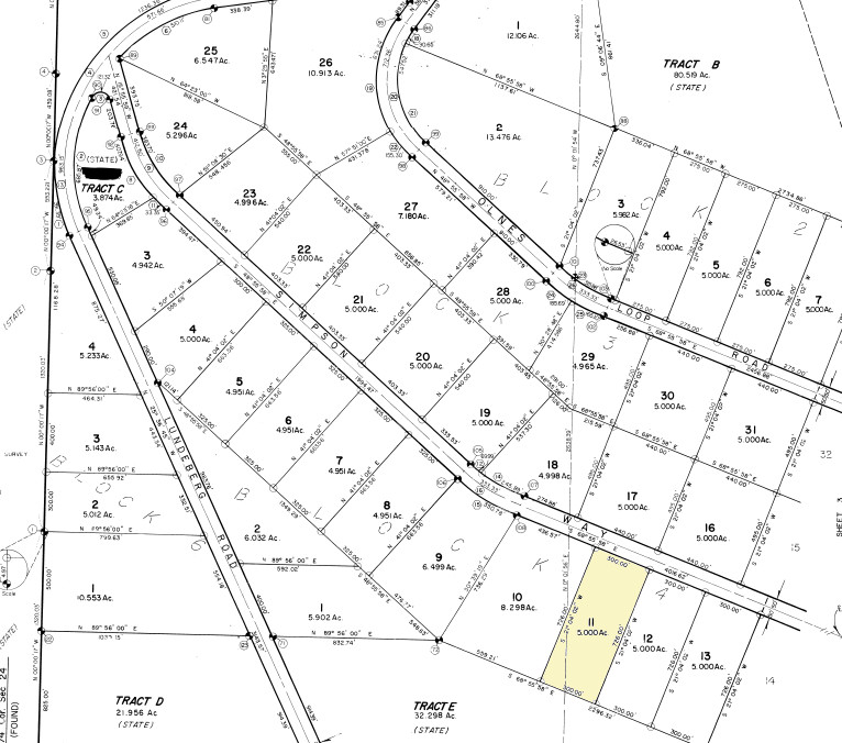
Lumber and older camper trailer on site pass with sale. Great spot for weekend getaway or cabin year around. Just down the road from Olnes Pond, a popular recreation area to enjoy water sports and camping. Wonderful territorial views going up Simpson Way.

